Украинский стартап Farsight Vision привлек 7,2 миллиона евро инвестиций от европейских инвесторов при поддержке платформы Brave1. Об этом сообщает Министерство цифровой трансформации Украины.

Компания, являющаяся участником платформы Brave1, разрабатывает инструменты ИИ для разведки, которые применяются на поле боя и помогают военнослужащим быстрее принимать решения.

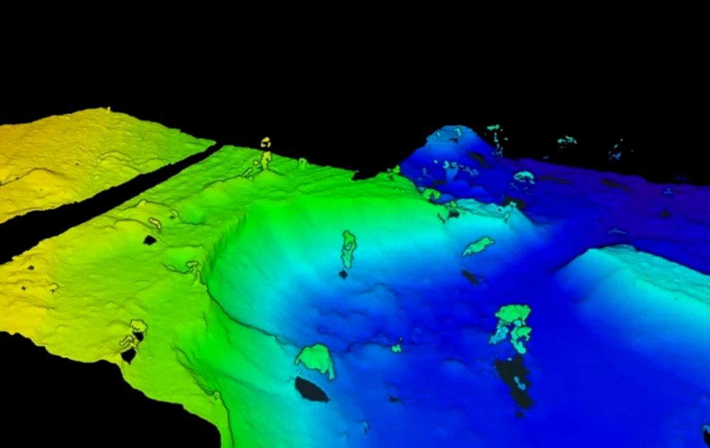
Платформа анализирует данные местности и в реальном времени передает операторам БПЛА точную информацию о ситуации на поле боя. В Минцифры отмечают, что эта технология является альтернативой спутниковой разведке.

«Когда украинские стартапы привлекают инвестиции от международных игроков, это сигнал доверия к нашим технологиям и подтверждение того, что Украина задает стандарты современного ведения войны», — говорится в сообщении.

По данным Минцифры, Farsight Vision планирует направить привлеченные средства на разработку роботизированных решений для логистики, навигации и управления вооружением, а также на усиление защиты поля боя и критической инфраструктуры с использованием ИИ.

В то же время, по данным издания Defender Media, команда компании намерена объединить свои разработки в единую систему для повышения автономности боевых беспилотников. Это решение охватит разведку, формирование целей с координатами, передачу целей ударным дронам и навигацию на финальном этапе полета.

Как сообщает Defender Media, инвестиционный раунд возглавила американская корпорация Axon Enterprise и эстонский государственный фонд SmartCap Defence Fund. В сделке также участвовали польский Radix Ventures, швейцарский Anker Capital и датский Final Frontier. Кроме того, повторные инвестиции в стартап осуществил эстонский фонд Darkstar, который является одним из первых инвесторов Farsight Vision.

По информации издания, решения компании позволяют в реальном времени преобразовывать изображения с дронов в 3D-модели и ортофотопланы с интегрированным обнаружением объектов и отслеживанием аномалий, даже в условиях отсутствия GNSS, и интегрируются с системами управления боем, мобильными приложениями, симуляторами и VR-инструментами.

7414 image for slide